2018年08月03日

西日本を中心とする「平成30年7月豪雨」により被災された皆さまに、心よりお見舞い申し上げます。
株式会社オプティム(本社:東京都港区、代表取締役社長:菅谷 俊二、以下 オプティム)ならびに株式会社ランドログ(本社:東京都港区、代表取締役社長:井川 甲作、以下 ランドログ)、コマツ(本社:東京都港区、代表取締役社長兼CEO:大橋 徹二)の3社は、「平成30年7月豪雨」の災害支援として、自治体の方々へ向けて、被災状況の把握を目的としたドローン測量を2018年8月3日より無償で実施いたします。なお、本支援は、オプティムの「DRONE CONNECT」と、コマツの「EverydayDrone」を活用して提供されます。
本支援を活用することで、人員を割り当てることなく、被災状況を素早く可視化・把握することが可能となります。
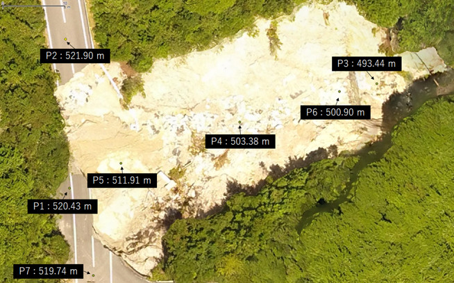
■被災状況確認イメージ


■各社の役割
オプティム:
ドローンパイロットシェアリングサービス「DRONE CONNECT」に登録しているプロフェッショナルドローンパイロットの無償派遣
ランドログ:
データプラットフォームの無償提供
コマツ:
3D現況測量データ生成サービス「EverydayDrone」と、スマートコンストラクションアプリの無償提供
■申し込み期間
2018年8月3日(金)~2018年9月3日(月)※1
■申し込み方法
「平成30年7月豪雨」の被災自治体の皆さまが対象となります※2。必要項目(住所・氏名・利用用途など)を記載し、下記フォームより申し込みください。詳細は申し込み後、メールにてご案内させていただきます。
▼申込みフォームURL
※被災状況のドローン測量無償支援申し込みの受付は終了致しました。
オプティム、ランドログ、コマツの3社は、被災地の一日も早い復旧を心よりお祈り申し上げるとともに、被災者救済や被災地復興のお役に立てるよう、積極的な支援を行ってまいります。
「EverydayDrone」サービスの詳細については下記Webサイトをご確認ください。
「EverydayDrone」プレスリリースページ:
> https://www.komatsu.jp/ja/newsroom/2018/20180418
「DRONE CONNECT」の詳細については以下サービスページをご確認ください。
「DRONE CONNECT」β版サービスページ:
> https://www.optim.co.jp/drone-connect
※1 状況に応じて提供期間は変更する可能性があります。
※2 申し込みが多数となった場合、すべての申し込みにお応えできない可能性がございます。また、お申込内容によっては対象外となる可能性がございます。
【株式会社オプティムについて】
商号:
株式会社オプティム
上場市場:
東京証券取引所市場第一部
証券コード:
3694
URL:
> https://www.optim.co.jp/
佐賀本店:
佐賀県佐賀市本庄町1 オプティム・ヘッドクォータービル
東京本社:
東京都港区海岸1丁目2番20号 汐留ビルディング 21階
代表者:
菅谷 俊二
設立:
2000年6月
資本金:
443百万円
事業内容:
ライセンス販売・保守サポートサービス(オプティマル)事業(IoTプラットフォームサービス、リモートマネジメントサービス、サポートサービス、その他サービス)
【株式会社ランドログについて】
商号:
株式会社ランドログ
URL:
> https://www.landlog.info/
本社:
東京都港区海岸1丁目2番20号 汐留ビルディング 15階
代表者:
井川 甲作
資本金:
150百万円
事業内容:
建設生産プロセスに関するIoTプラットフォームの事業 (各種データの収集、編集及び蓄積等を行う、ITシステムの企画、開発、運用)
管理番号 036 (2782)
コマツ サステナビリティ推進本部コーポレートコミュニケーション部
tel: 03(5561)2616
mail: JP00mb_cc_department@global.komatsu
※ニュースリリースに記載されている情報は発表時のものであり、予告なしに変更される場合があります。